近期,玉林市自然资源局网站发布
关于对石桥大厦项目总平面图的公示

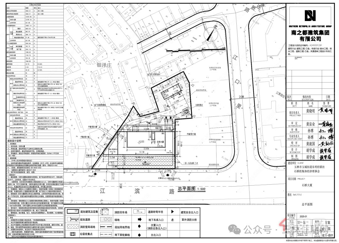
根据玉林市玉城街道东明经联社石桥组集体经济理事会的申请,现对其位于玉林市江滨路西北侧用地的石桥大厦项目总平面图进行公示,公示的内容如下:
规 划方案公示内容
石桥大厦项目总平面图详见附件,规 划项目主要技术经济指标详见指标一览表:

项目详情
根据公示,石桥大厦规 划用地位于玉林市江滨路西北侧,规 划总用地面积3560.21平方米(约5.34亩),总建筑面积约1.33万平方米,主体大厦规 划10F,高度H=44.55m。
石桥大厦酒店建设规模为95间客房,地下机动车停车位18个,非机动车车位209个;立体车库设置60个机动车位。

公示时间及地点
公示时间:2025年12月22日至2025年12月30日
公示地点:项目现场、玉林市自然资源局一楼规 划公示栏及其网站

为体现规 划审批的公开性和透明性,市自然资源局对本次规 划方案予以公示。如您对本次规 划内容有不同意见和异议,请于2025年12月30日前将意见以书面形式(署以真实姓名、联系方式等,并说明理由和原因)递交资源局,利害关系人可依法书面申请听证。意见反馈地址:玉林市玉州区茂林镇秀水路2号玉林市政务服务中心3楼113号窗建设项目规 划科,利害关系人可依法申请听证。













